Обяви 0 За нас Контакти
Продава ПАРЦЕЛ
град София, Враждебна
684 000 €
1 337 787.72 лв.

(190 €, 371.61 лв./m2)
Не се начислява ДДС
История на цената
Коригирана в 12:35 на 11 март, 2026 год.
Обявата е посетена 2306 пъти.
Площ:
3600 m2
Регулация:
ДА

Описание на имота:


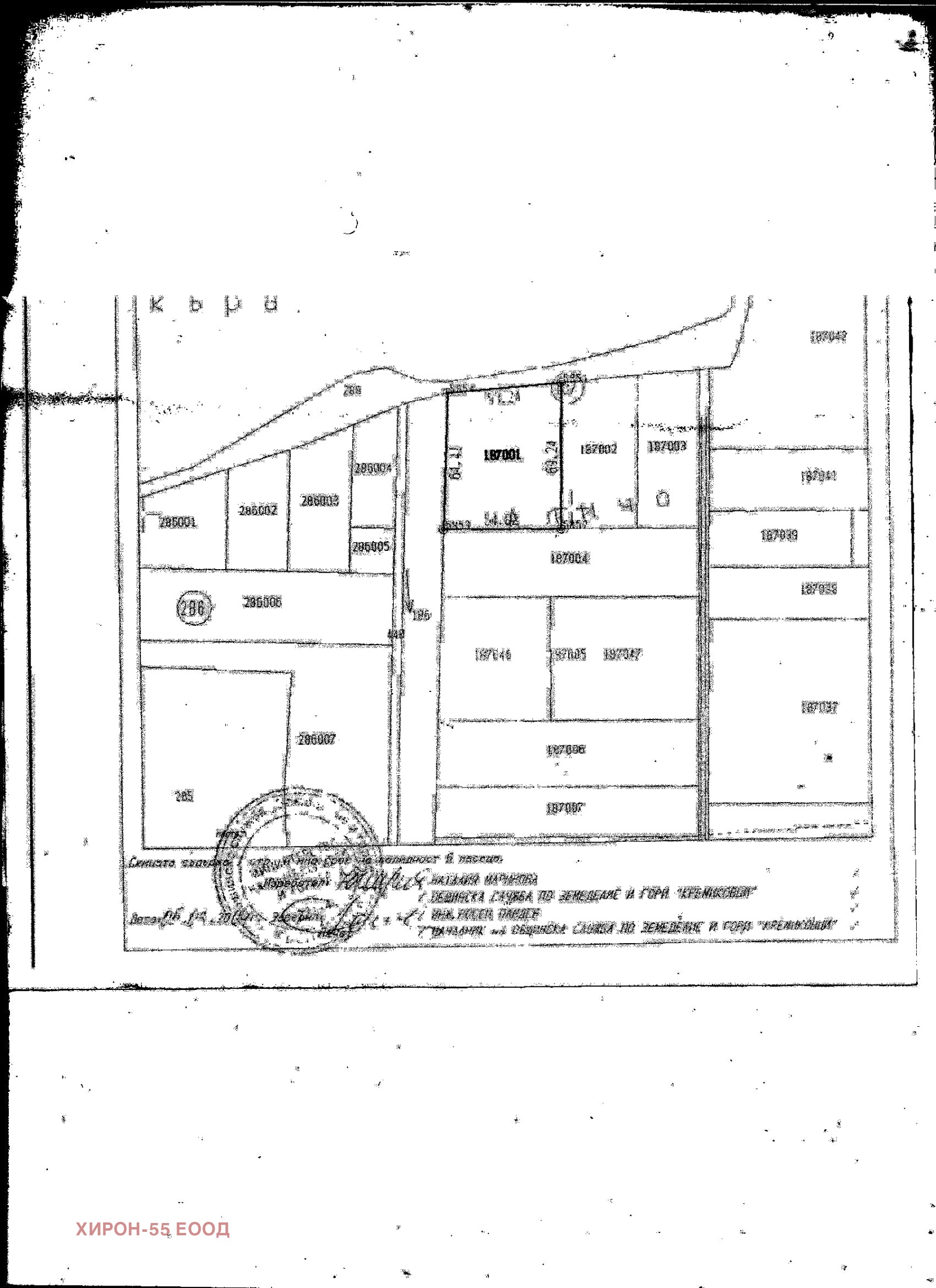
Предлагаме ъглов парцел, на 2 улици с правилна, правоъгълна форма с лице 54м на асфалтовата улица 'Батарея ' в местност Батареята , кв. Враждебна . В момента се работи по узаконяване на регулацията. В близост на улицата - действащи складове за лекарства , търговия и др. Изключително подходящо място за всякакъв вид строителство - представителство, складове, търговски център , офис сграда и др. тел. 0878833917
Особености
За пром.строителство
За контакт:
0878833917
Агенция:
ХИРОН-55 ЕООД
0882-517005;0878-833917
ХИРОН-55 ЕООД logo
Медал за прослужено време
В imot.bg от 2002 г.
hiron55.imot.bg
Адрес:
област София, гр. София, ж.к. Изток, ул.А.П.Чехов
ИЗПРАТИ ЗАПИТВАНЕ
ИЗПРАТИ ЗАПИТВАНЕТО

Продава ПАРЦЕЛ
град София, Враждебна
Обява: 1r175188045312039

684 000 €
1 337 787.72 лв.
История на цената
(190 €, 371.61 лв./m2)

Не се начислява ДДС
ЗАПАЗИ ОБЯВАТА

Местоположение: град София, Враждебна

Допълнителни данни за имотите в района и сравнение с други райони

Покажи

Период

и 4 месеца

* Средните цени са определени чрез медианна стойност